Opublikowano . Powiat ostrowski | Aktualności | Wiadomości z powiatu


Utrudnienia w ruchu. Remont skrzyżowania w Jasienicy

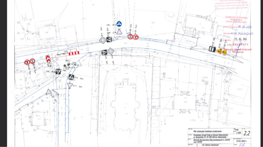
Powiatowy Zarząd Dróg w Ostrowi Mazowieckiej wprowadza tymczasową organizację ruchu dla poprawy bezpieczeństwa i infrastruktury drogowej.

Fot. Powiatowy Zarząd Dróg w Ostrowi Mazowieckiej Fot. Powiatowy Zarząd Dróg w Ostrowi Mazowieckiej

Powiatowy Zarząd Dróg w Ostrowi Mazowieckiej informuje, że w związku z remontem skrzyżowania w miejscowości Jasienica, należącej do gminy Ostrowi Mazowiecka, na drogach powiatowych o numerach 2634W i 2653W, wystąpią utrudnienia w ruchu drogowym w dniach od 3 czerwca 2024 roku do dnia 10 czerwca 2024 roku. Utrudnienia te dotkną kierowców podróżujących od strony Kalinowa, Króli Dużych oraz Chmielewa.

W związku z planowanymi pracami drogowymi ruch drogowy będzie odbywał się zgodnie z załączonym planem sytuacyjnym tymczasowej organizacji ruchu. Działania te są podejmowane w celu zapewnienia bezpieczeństwa wszystkim użytkownikom dróg oraz sprawnego przebiegu prac remontowych.

Remont skrzyżowania w miejscowości Jasienica ma na celu poprawę stanu infrastruktury drogowej oraz zwiększenie komfortu i bezpieczeństwa podróży dla mieszkańców i osób podróżujących przez ten obszar. W trakcie prac remontowych prosimy o zachowanie szczególnej ostrożności oraz stosowanie się do znaków i poleceń osób kierujących ruchem drogowym.

Fot. Powiatowy Zarząd Dróg w Ostrowi Mazowieckiej Fot. Powiatowy Zarząd Dróg w Ostrowi Mazowieckiej

Dopasuj dla mnie

Zaznacz tematy, które Cię interesują. Zapamiętamy wybór tylko na tym urządzeniu.

Wybraliśmy dla Ciebie

Wiadomości z powiatu Joanna Jabłczyńska w szpitalu. Mieszkanka podostrowskiej wsi dziękuje lekarzom i apeluje:…
Joanna Jabłczyńska w szpitalu. Mieszkanka podostrowskiej wsi dziękuje lekarzom i apeluje:…
30.11.2025 · 13642 osób przeczytało ten artykuł
Wiadomości z powiatu Radna Zawłocka nie odpuszcza w sprawie aptek! Starosta Bauer: "Dlaczego apteki nie są czy…
Radna Zawłocka nie odpuszcza w sprawie aptek! Starosta Bauer: "Dlaczego apteki nie są czy…
01.12.2025 · 7941 osób przeczytało ten artykuł
Wiadomości z powiatu "Czy pan ma przyzwoitość samorządowca? Stawia się dyżury aptek, a obok podwyżkę dla staro…
"Czy pan ma przyzwoitość samorządowca? Stawia się dyżury aptek, a obok podwyżkę dla staro…
04.12.2025 · 6802 osób przeczytało ten artykuł
Wiadomości z powiatu Wójt Waldemar Brzostek zostawił w tyle miasto i powiat! Gmina Ostrów Mazowiecka z najwięk…
Wójt Waldemar Brzostek zostawił w tyle miasto i powiat! Gmina Ostrów Mazowiecka z najwięk…
02.12.2025 · 6454 osób przeczytało ten artykuł
Wiadomości z powiatu Konkurs na zastępcę dyrektora szpitala odłożony. Radni wycofali uchwałę, bo startuje obec…
Konkurs na zastępcę dyrektora szpitala odłożony. Radni wycofali uchwałę, bo startuje obec…
30.11.2025 · 5819 osób przeczytało ten artykuł
Wiadomości z powiatu Radny Krzyżanowski ostro o medalu od wędkarzy dla starosty: Nie pozwalajmy na wręczanie "…
Radny Krzyżanowski ostro o medalu od wędkarzy dla starosty: Nie pozwalajmy na wręczanie "…
09.12.2025 · 5220 osób przeczytało ten artykuł
Wiadomości z powiatu "Bardzo ładna data - w moje urodziny"
"Bardzo ładna data - w moje urodziny"
06.12.2025 · 4234 osób przeczytało ten artykuł
Wiadomości z powiatu Starosta Jerzy Bauer z medalem "Za zasługi w rozwoju wędkarstwa". Wędkarze liczą na więcej
Starosta Jerzy Bauer z medalem "Za zasługi w rozwoju wędkarstwa". Wędkarze liczą na więcej
28.11.2025 · 3980 osób przeczytało ten artykuł
Wiadomości z powiatu Powiat łączy obsługę finansową szkół. Radni pytają o oszczędności, dyrektorzy milczą
Powiat łączy obsługę finansową szkół. Radni pytają o oszczędności, dyrektorzy milczą
05.12.2025 · 3328 osób przeczytało ten artykuł
Wiadomości z powiatu Sołtyska Janczewa Wielkiego zdobyła nagrodę w Mazowieckim Konkursie Serów Zagrodowych
Sołtyska Janczewa Wielkiego zdobyła nagrodę w Mazowieckim Konkursie Serów Zagrodowych
03.12.2025 · 2416 osób przeczytało ten artykuł
Wiadomości z powiatu Strażak ochotnik z gminy Małkinia Górna odznaczony Krzyżem Świętego  Floriana
Strażak ochotnik z gminy Małkinia Górna odznaczony Krzyżem Świętego Floriana
28.11.2025 · 1947 osób przeczytało ten artykuł
Wiadomości z powiatu Syreny zawyją na Mazowszu
Syreny zawyją na Mazowszu
07.12.2025 · 1814 osób przeczytało ten artykuł
Wiadomości z powiatu Pracownia symulatora maszynisty - nowość w małkińskim "Staszicu"
Pracownia symulatora maszynisty - nowość w małkińskim "Staszicu"
29.11.2025 · 1642 osób przeczytało ten artykuł
Wiadomości z powiatu Jest praca m.in. dla kierowcy, weterynarza, mechanika, spawacza. Zobacz oferty z powiatu …
Jest praca m.in. dla kierowcy, weterynarza, mechanika, spawacza. Zobacz oferty z powiatu …
29.11.2025 · 1595 osób przeczytało ten artykuł
Wiadomości z powiatu Michał Rutkowski odebrał prestiżową nagrodę „Świadek Historii” przyznawaną przez Instytut…
Michał Rutkowski odebrał prestiżową nagrodę „Świadek Historii” przyznawaną przez Instytut…
05.12.2025 · 1545 osób przeczytało ten artykuł
Wiadomości z powiatu „Pomogę, bo mogę” - fajna akcja Publicznej Szkoły Podstawowej w Rząśniku Włościańskim
„Pomogę, bo mogę” - fajna akcja Publicznej Szkoły Podstawowej w Rząśniku Włościańskim
04.12.2025 · 1377 osób przeczytało ten artykuł
Wiadomości z powiatu Gmina Zaręby Kościelne nagrodzona za zagospodarowanie terenu w sołectwach Skłody Stachy i…
Gmina Zaręby Kościelne nagrodzona za zagospodarowanie terenu w sołectwach Skłody Stachy i…
04.12.2025 · 1353 osób przeczytało ten artykuł
Wiadomości z powiatu Znamy Młodzieżowe Słowo Roku 2025! "Szponcić", "6 7" i OKPA. Używacie?
Znamy Młodzieżowe Słowo Roku 2025! "Szponcić", "6 7" i OKPA. Używacie?
09.12.2025 · 1332 osób przeczytało ten artykuł
Wiadomości z powiatu Podsumowanie konferencji naukowej "Kształtowanie tożsamości lokalnej - zasoby kulturowe Z…
Podsumowanie konferencji naukowej "Kształtowanie tożsamości lokalnej - zasoby kulturowe Z…
08.12.2025 · 1314 osób przeczytało ten artykuł
Wiadomości z powiatu Dzielą granicę, ale łączy ich sukces! Gmina Zaręby Kościelne i Małkinia Górna otrzymują 7…
Dzielą granicę, ale łączy ich sukces! Gmina Zaręby Kościelne i Małkinia Górna otrzymują 7…
03.12.2025 · 1156 osób przeczytało ten artykuł
Wiadomości z powiatu Narodowe Czytanie w Publicznej Szkole Podstawowej im. Marii Konopnickiej w Rząśniku Włośc…
Narodowe Czytanie w Publicznej Szkole Podstawowej im. Marii Konopnickiej w Rząśniku Włośc…
05.12.2025 · 916 osób przeczytało ten artykuł
Wiadomości z powiatu Dzienny Opiekun „Małe Ludki” w Nurze świętuje pierwsze urodziny
Dzienny Opiekun „Małe Ludki” w Nurze świętuje pierwsze urodziny
05.12.2025 · 686 osób przeczytało ten artykuł
Wiadomości z miasta Twój dom świeci się na czerwono na mapie miasta? Możesz spodziewać się kontroli
Twój dom świeci się na czerwono na mapie miasta? Możesz spodziewać się kontroli
07.12.2025 · 13709 osób przeczytało ten artykuł
Wiadomości z miasta Wolta najmłodszej radnej. Tego się nikt nie spodziewał!
Wolta najmłodszej radnej. Tego się nikt nie spodziewał!
15.11.2025 · 10990 osób przeczytało ten artykuł
Wiadomości z miasta Cicha zmiana w MDK. Nowy zastępca dyrektora
Cicha zmiana w MDK. Nowy zastępca dyrektora
21.11.2025 · 10649 osób przeczytało ten artykuł
Wiadomości z miasta Co czeka mieszkańców Ostrowi Mazowieckiej w przyszłym roku? Ogromne inwestycje i rosnący …
Co czeka mieszkańców Ostrowi Mazowieckiej w przyszłym roku? Ogromne inwestycje i rosnący …
29.11.2025 · 9979 osób przeczytało ten artykuł
Pozostałe wiadomości Na S8 pojawi się odcinkowy pomiar prędkości. Kamery już są, kierowcy czekają na uruchomie…
Na S8 pojawi się odcinkowy pomiar prędkości. Kamery już są, kierowcy czekają na uruchomie…
04.12.2025 · 8649 osób przeczytało ten artykuł
Wiadomości z miasta Aktualizacja: Do ratusza wpłynął wniosek o wygaszenie mandatów trojga radnych. Czy to ozn…
Aktualizacja: Do ratusza wpłynął wniosek o wygaszenie mandatów trojga radnych. Czy to ozn…
24.11.2025 · 7899 osób przeczytało ten artykuł
Policja Brutalny atak na Hiszpanów na trasie S8! Zamaskowani napastnicy zablokowali drogę i wtarg…
Brutalny atak na Hiszpanów na trasie S8! Zamaskowani napastnicy zablokowali drogę i wtarg…
11.12.2025 · 7792 osób przeczytało ten artykuł
Wiadomości z miasta Dwie wygrane w Keno w Ostrowi Mazowieckiej. Jedna rekordowa
Dwie wygrane w Keno w Ostrowi Mazowieckiej. Jedna rekordowa
14.11.2025 · 7189 osób przeczytało ten artykuł
Policja Wypadek na DK60 w pobliżu Sielca - zderzenie osobówki z ciężarówką
Wypadek na DK60 w pobliżu Sielca - zderzenie osobówki z ciężarówką
18.11.2025 · 7185 osób przeczytało ten artykuł
Policja Pijany 27-latek wjechał czołowo w auto w okolicach Rogóźni! Dwie osoby trafiły do szpitala
Pijany 27-latek wjechał czołowo w auto w okolicach Rogóźni! Dwie osoby trafiły do szpitala
27.11.2025 · 7026 osób przeczytało ten artykuł
Wiadomości z miasta Mocne słowa Wierzejskiego o kolejnej interpelacji Pecury: "klasyczne, pokazowe bicie pian…
Mocne słowa Wierzejskiego o kolejnej interpelacji Pecury: "klasyczne, pokazowe bicie pian…
26.11.2025 · 6918 osób przeczytało ten artykuł
Wiadomości z miasta Nieoczekiwany zwrot w sprawie budowy osiedla przy ul. Olszynowej
Nieoczekiwany zwrot w sprawie budowy osiedla przy ul. Olszynowej
16.11.2025 · 6668 osób przeczytało ten artykuł
Wiadomości z miasta Chaos z parkowaniem przy szpitalu. Deweloper chce zbudować płatny parking
Chaos z parkowaniem przy szpitalu. Deweloper chce zbudować płatny parking
06.12.2025 · 6618 osób przeczytało ten artykuł
Wiadomości z miasta Wiceprzewodnicząca Rady Miasta chce psiego parku nad stawem miejskim w Ostrowi Mazowiecki…
Wiceprzewodnicząca Rady Miasta chce psiego parku nad stawem miejskim w Ostrowi Mazowiecki…
23.11.2025 · 5810 osób przeczytało ten artykuł

Bądź pierwszy! Dodaj komentarz

Twoja opinia pomaga być na bieżąco

Brak komentarzy

Rozpocznij dyskusję – napisz pierwszy komentarz poniżej.

0 / 1200 Wskazówka: zaznacz fragment artykułu i kliknij „Zacytuj”

Publikowane komentarze są prywatnymi opiniami Użytkowników serwisu ostrowmaz24.pl.

Reklama



Komentarze 0
Opcje

Dostosuj preferencje treści (zapis lokalny w przeglądarce):

Dołącz